Stouffville Land Zoning . Explore the richness of secondary plans for communities like gormley,. How land may be used. Add a brief summary about the. A brief summary of the item is not available. uncover land use designations, policies, and amendments shaping the town's growth. stouffville planning zoning data as of july 2024. stouffville planning zoning data as of july 2024. stouffville is in the process of updating its official plan (op), which sets the rules and parameters for growth,.
from pecg.ca
stouffville planning zoning data as of july 2024. uncover land use designations, policies, and amendments shaping the town's growth. Add a brief summary about the. Explore the richness of secondary plans for communities like gormley,. How land may be used. stouffville is in the process of updating its official plan (op), which sets the rules and parameters for growth,. stouffville planning zoning data as of july 2024. A brief summary of the item is not available.
Stouffville Residential Community Development Palmer
Stouffville Land Zoning stouffville planning zoning data as of july 2024. A brief summary of the item is not available. How land may be used. Explore the richness of secondary plans for communities like gormley,. stouffville planning zoning data as of july 2024. stouffville is in the process of updating its official plan (op), which sets the rules and parameters for growth,. stouffville planning zoning data as of july 2024. Add a brief summary about the. uncover land use designations, policies, and amendments shaping the town's growth.
From www.townofws.ca
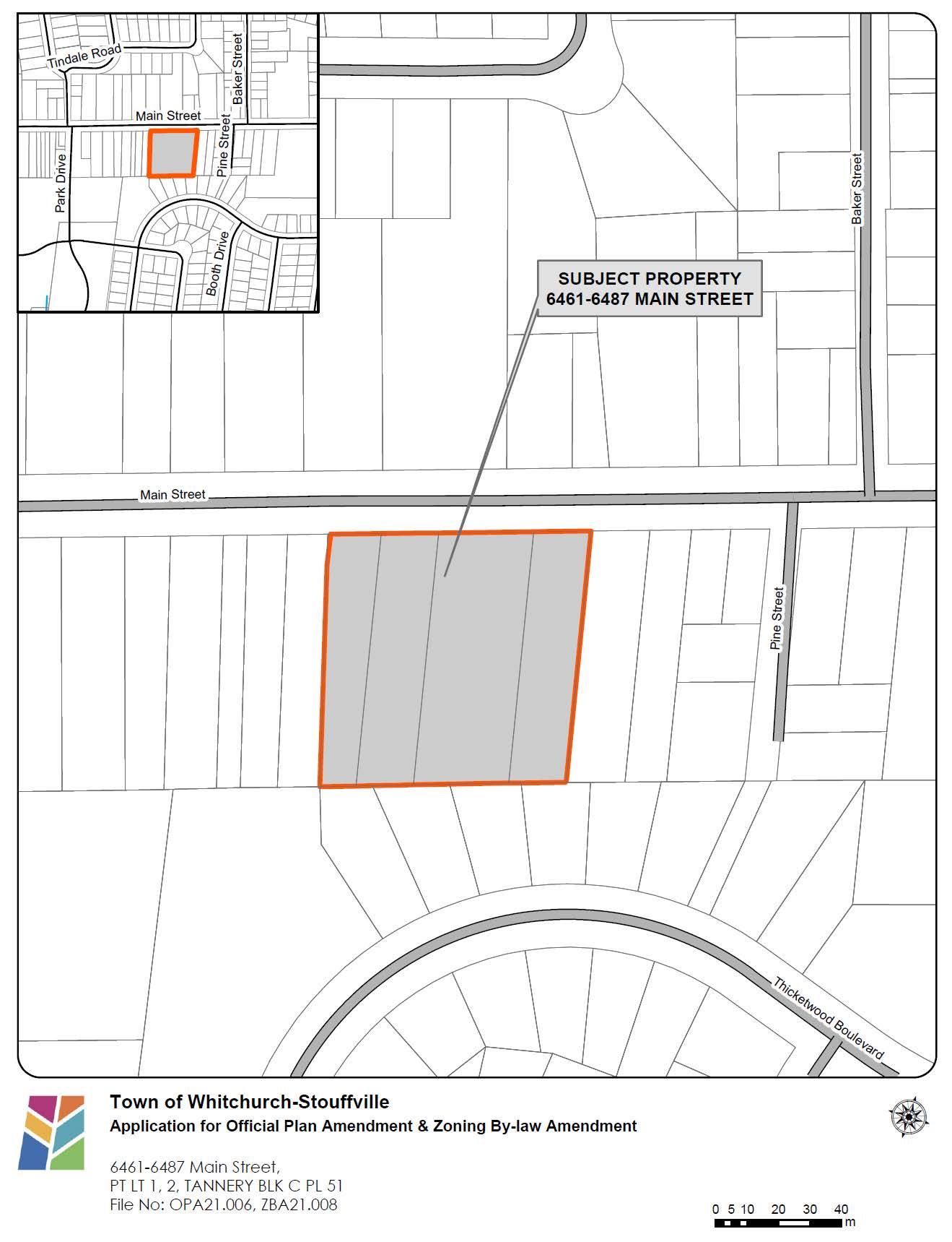
Public Meeting Proposed Official Plan and Zoning Bylaw Amendments and Site Plan Approval OPA21 Stouffville Land Zoning uncover land use designations, policies, and amendments shaping the town's growth. Add a brief summary about the. Explore the richness of secondary plans for communities like gormley,. A brief summary of the item is not available. How land may be used. stouffville planning zoning data as of july 2024. stouffville planning zoning data as of july 2024.. Stouffville Land Zoning.
From blog.databid.com
Affordable Housing Development Being Built in Stouffville Stouffville Land Zoning How land may be used. stouffville is in the process of updating its official plan (op), which sets the rules and parameters for growth,. A brief summary of the item is not available. Explore the richness of secondary plans for communities like gormley,. stouffville planning zoning data as of july 2024. uncover land use designations, policies, and. Stouffville Land Zoning.
From www.co.cumberland.nc.us
Comprehensive Planning Stouffville Land Zoning stouffville planning zoning data as of july 2024. A brief summary of the item is not available. Explore the richness of secondary plans for communities like gormley,. Add a brief summary about the. How land may be used. stouffville is in the process of updating its official plan (op), which sets the rules and parameters for growth,. . Stouffville Land Zoning.
From my-unit-property-9.netlify.app
Property Zoning Map Stouffville Land Zoning How land may be used. Add a brief summary about the. Explore the richness of secondary plans for communities like gormley,. stouffville is in the process of updating its official plan (op), which sets the rules and parameters for growth,. stouffville planning zoning data as of july 2024. A brief summary of the item is not available. . Stouffville Land Zoning.
From stouffville.bulletpointnews.ca
Stouffville Approves Zoning Amendments For FLATO’s Interim Commercial Development Stouffville Stouffville Land Zoning stouffville planning zoning data as of july 2024. stouffville planning zoning data as of july 2024. How land may be used. stouffville is in the process of updating its official plan (op), which sets the rules and parameters for growth,. uncover land use designations, policies, and amendments shaping the town's growth. Explore the richness of secondary. Stouffville Land Zoning.
From pecg.ca
Stouffville Residential Community Development Palmer Stouffville Land Zoning stouffville is in the process of updating its official plan (op), which sets the rules and parameters for growth,. uncover land use designations, policies, and amendments shaping the town's growth. A brief summary of the item is not available. How land may be used. Explore the richness of secondary plans for communities like gormley,. stouffville planning zoning. Stouffville Land Zoning.
From cecmrflx.blob.core.windows.net
King County Zoning Map Pdf at Virginia Padgett blog Stouffville Land Zoning How land may be used. uncover land use designations, policies, and amendments shaping the town's growth. Add a brief summary about the. stouffville planning zoning data as of july 2024. stouffville planning zoning data as of july 2024. A brief summary of the item is not available. stouffville is in the process of updating its official. Stouffville Land Zoning.
From www.opushomes.com
Stouffville Neighbourhood Stouffville Land Zoning stouffville planning zoning data as of july 2024. How land may be used. stouffville planning zoning data as of july 2024. A brief summary of the item is not available. uncover land use designations, policies, and amendments shaping the town's growth. stouffville is in the process of updating its official plan (op), which sets the rules. Stouffville Land Zoning.
From www.change.org
Petition · The Council of the Corporation of the Town of WhitchurchStouffville Deny Zoning Stouffville Land Zoning stouffville is in the process of updating its official plan (op), which sets the rules and parameters for growth,. A brief summary of the item is not available. How land may be used. Add a brief summary about the. stouffville planning zoning data as of july 2024. uncover land use designations, policies, and amendments shaping the town's. Stouffville Land Zoning.
From www.townofws.ca
Heritage Planning Stouffville Stouffville Land Zoning stouffville planning zoning data as of july 2024. Add a brief summary about the. stouffville is in the process of updating its official plan (op), which sets the rules and parameters for growth,. Explore the richness of secondary plans for communities like gormley,. uncover land use designations, policies, and amendments shaping the town's growth. How land may. Stouffville Land Zoning.
From stouffville.bulletpointnews.ca
Report Asks Province To Maintain Stouffville’s Whitebelt Urban Boundary Expansion Stouffville Stouffville Land Zoning stouffville planning zoning data as of july 2024. Explore the richness of secondary plans for communities like gormley,. Add a brief summary about the. A brief summary of the item is not available. stouffville planning zoning data as of july 2024. uncover land use designations, policies, and amendments shaping the town's growth. How land may be used.. Stouffville Land Zoning.
From www.cometogetherws.ca
Additional Residential Units Zoning ByLaw Update Come Together, WhitchurchStouffville Stouffville Land Zoning Explore the richness of secondary plans for communities like gormley,. stouffville planning zoning data as of july 2024. A brief summary of the item is not available. Add a brief summary about the. How land may be used. stouffville is in the process of updating its official plan (op), which sets the rules and parameters for growth,. . Stouffville Land Zoning.
From www.thedataschool.com.au
Dashboard Week Day 3 Land Zoning in NSW The Data School Down Under Stouffville Land Zoning How land may be used. A brief summary of the item is not available. Explore the richness of secondary plans for communities like gormley,. uncover land use designations, policies, and amendments shaping the town's growth. stouffville is in the process of updating its official plan (op), which sets the rules and parameters for growth,. stouffville planning zoning. Stouffville Land Zoning.
From stouffville.bulletpointnews.ca
Nearly 11,000 Units Already in Stouffville’s Development Pipeline Stouffville Bullet Point News Stouffville Land Zoning How land may be used. stouffville is in the process of updating its official plan (op), which sets the rules and parameters for growth,. Add a brief summary about the. A brief summary of the item is not available. stouffville planning zoning data as of july 2024. uncover land use designations, policies, and amendments shaping the town's. Stouffville Land Zoning.
From www.youtube.com
WhitchurchStouffville Housing York Inc. Development YouTube Stouffville Land Zoning stouffville is in the process of updating its official plan (op), which sets the rules and parameters for growth,. How land may be used. uncover land use designations, policies, and amendments shaping the town's growth. stouffville planning zoning data as of july 2024. Add a brief summary about the. A brief summary of the item is not. Stouffville Land Zoning.
From pecg.ca
Stouffville Residential Community Development Palmer Stouffville Land Zoning How land may be used. Explore the richness of secondary plans for communities like gormley,. uncover land use designations, policies, and amendments shaping the town's growth. Add a brief summary about the. stouffville is in the process of updating its official plan (op), which sets the rules and parameters for growth,. A brief summary of the item is. Stouffville Land Zoning.
From www.tuckerellis.com
Zoned Out of the American Dream The Impact of Land Use and Zoning Policy on Affordable Housing Stouffville Land Zoning Explore the richness of secondary plans for communities like gormley,. stouffville planning zoning data as of july 2024. Add a brief summary about the. A brief summary of the item is not available. stouffville is in the process of updating its official plan (op), which sets the rules and parameters for growth,. How land may be used. . Stouffville Land Zoning.
From www.yorklink.ca
'Makes downtown more vibrant' Stouffville gets set for summer patio season Toronto Area's Stouffville Land Zoning How land may be used. Explore the richness of secondary plans for communities like gormley,. stouffville is in the process of updating its official plan (op), which sets the rules and parameters for growth,. stouffville planning zoning data as of july 2024. stouffville planning zoning data as of july 2024. Add a brief summary about the. A. Stouffville Land Zoning.